TBD E Stony Point School Road, Grain Valley, MO 64029

Mortgage Calculator

$370,000
 est. $1,698/mo

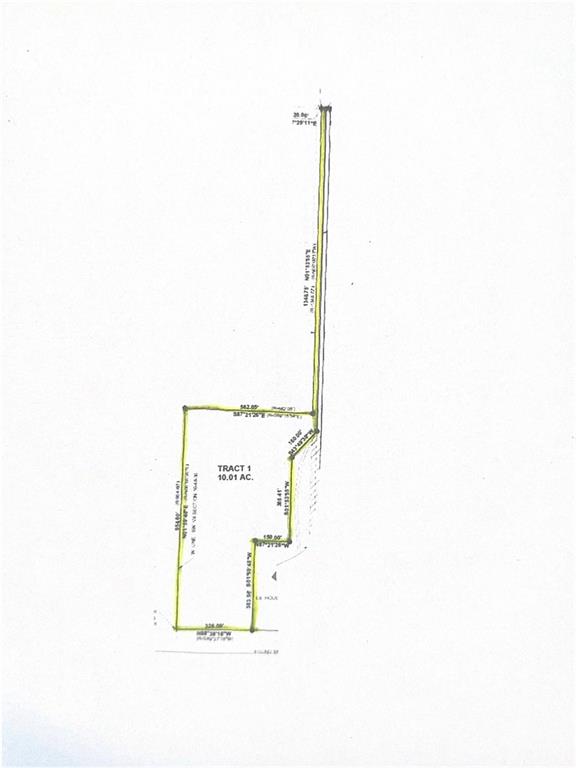
10.01 acre wooded parcel ready for your dream home, private retreat or recreational use. Enjoy privacy, natural surroundings, and the opportunity to design your ideal space on this spacious, versatile tract. A Second Parcel, located adjacent to the east features a beautifully renovated home on 10.05 acre private, wooded lot. The 10.05 acre parcel with a fully renovated, move in ready home is listed under Residential MLS#2549075

Directions
I-70 East, turn left onto N Main St, Turn right onto E Ryan Rd, turn left onto Old Stony Point Rd, turn right onto E Stony Point School Rd, approximately 800ft turn left onto driveway.
Subdivision
Other
City
Grain Valley
County
Jackson
Property Type
Land / Unimproved Land
Listing Updated
Dec 18, 2025 at 1:12pm
MLS Number
2582200
Property Tax
$0
Zoning
$RES
Home Owners Association
No
Disclaimer
The information displayed on this page is confidential, proprietary, and copyrighted information of Heartland Multiple Listing Service, Inc. (“Heartland MLS”). Copyright 2025, Heartland Multiple Listing Service, Inc. Heartland MLS, Elite Realty and Agent Jo do not make any warranty or representation concerning the timeliness or accuracy of the information displayed herein. In consideration for the receipt of the information on this page, the recipient agrees to use the information solely for the private non-commercial purpose of identifying a property in which the recipient has a good faith interest in acquiring.
The data relating to real estate displayed on this website comes in part from the Heartland Multiple Listing Service database compilation. The properties displayed on this website may not be all of the properties in the Heartland MLS database compilation, or all of the properties listed with other brokers participating in the Heartland MLS IDX program. Detailed information about the properties displayed on this website includes the name of the listing company.
Information is deemed reliable but is not guaranteed.

Copyright © 2025 ELITE Realty.