66 CR 66 Tracts 2 & 3 Road, Savannah, MO 64485

Mortgage Calculator

$260,400
 est. $987/mo

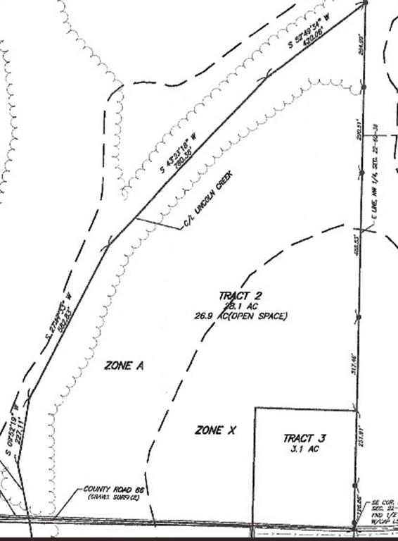
Tracts 2 & 3 are being offered together for a total of 31+/- acres. Approximately 24.5 of the 31+/- acres are tillable and currently being used for row crop production. These tracts lay exceptionally well with 0-2% slopes and class 2 loam soils. The soils on these tracts have an impressive NCCPI rating of 84.6 which exceeds the county average significantly. At 80% tillable, these tracts provide an appealing ROI aspect. Tract 3 does have an old farmhouse that needs some TLC and a barn that is in good condition and ready to be utilized. Tract 3 does have water and electricity available per PWSD #3 and United Electric. Reconnection fees will apply, please verify. This public offering consists of tracts 2 & 3 per the survey provided and aerial supplement documents. Tracts have been surveyed off larger parcels. Kindly be aware that additional tracts are available, and these options are being offered in various combinations.

Directions
From I29 Hwy take US-59 Exit headed and then proceed down US-59 toward State Route H Follow State Rout H approximately 1.5 Miles and take a right along County Road 70 for another 1 mile and then take a left onto County Road 68 another 1 mile and then take a right along County Road 66 and proceed down County Road 66 about 1 mile across the creek bottom and the farm will be on your left-hand side.
Subdivision
None
City
Savannah
County
Andrew
Property Type
Land / Unimproved Land
Listing Updated
Oct 24, 2025 at 1:10am
MLS Number
2582940
Property Tax
$107
Home Owners Association
No
Disclaimer
The information displayed on this page is confidential, proprietary, and copyrighted information of Heartland Multiple Listing Service, Inc. (“Heartland MLS”). Copyright 2025, Heartland Multiple Listing Service, Inc. Heartland MLS, Elite Realty and Agent Jo do not make any warranty or representation concerning the timeliness or accuracy of the information displayed herein. In consideration for the receipt of the information on this page, the recipient agrees to use the information solely for the private non-commercial purpose of identifying a property in which the recipient has a good faith interest in acquiring.
The data relating to real estate displayed on this website comes in part from the Heartland Multiple Listing Service database compilation. The properties displayed on this website may not be all of the properties in the Heartland MLS database compilation, or all of the properties listed with other brokers participating in the Heartland MLS IDX program. Detailed information about the properties displayed on this website includes the name of the listing company.
Information is deemed reliable but is not guaranteed.

Copyright © 2025 ELITE Realty.