Northeast Stonum Road, Lathrop, MO 64465

Mortgage Calculator

$599,950
 est. $2,336/mo

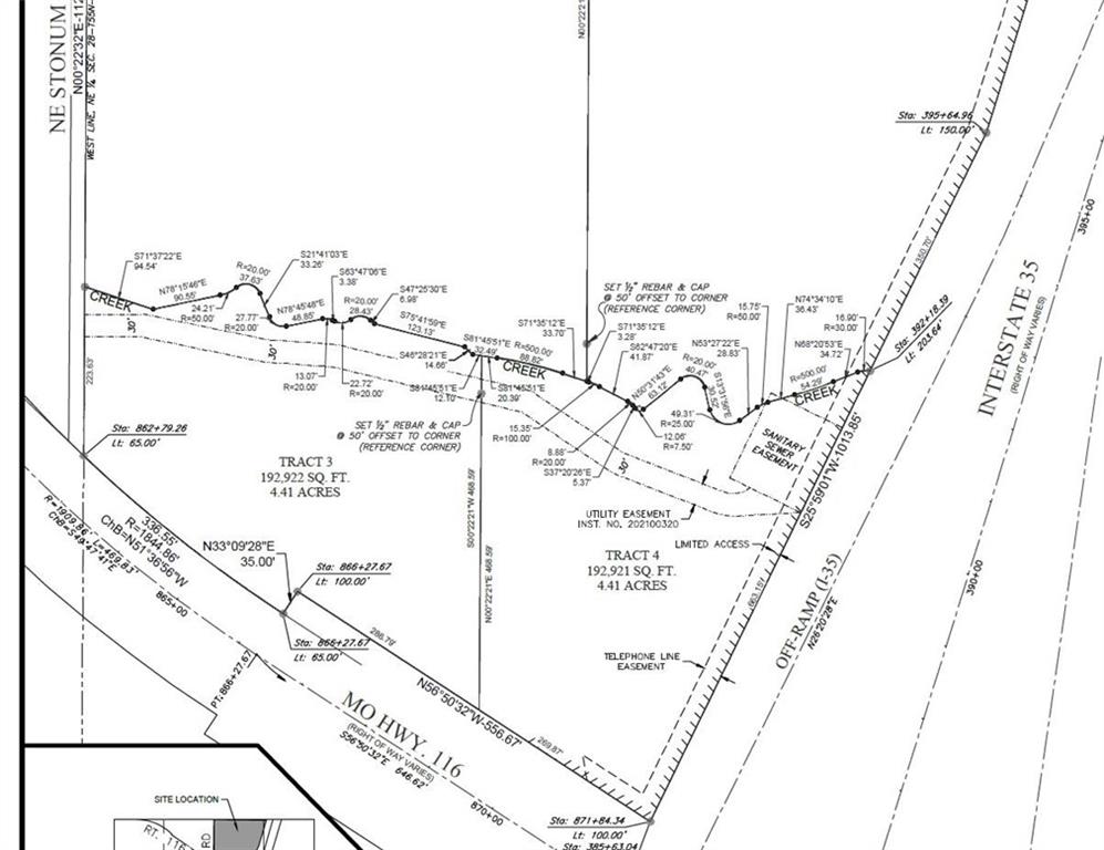
An exceptional investment awaits at this 4.41-acre high-profile development site, perfectly positioned at the I-35 & M-116 interchange in Lathrop, MO (NWC). This 'pad-ready' parcel is primed for immediate construction, featuring pre-existing site improvements, grading, all necessary utilities, and approved commercial zoning, ensuring a streamlined development process. Leverage the pro-development environment of Lathrop, which may include developer incentives. The hard corner interchange site offers outstanding visibility and direct access to I-35. The subject property represents a subdivided lot as part of a larger property containing 8.82+/- acres (see companion listing MLS #2583052). Please see supplements for lot split exhibit. Subject listing is for Tract 3 or Tract 4.

Directions
Northwest Corner of I-35 & M-116, Lathrop, MO
Subdivision
Other
City
Lathrop
County
Clinton
Property Type
Land / Unimproved Land
Listing Updated
Oct 22, 2025 at 1:10pm
MLS Number
2583080
Property Tax
$999
Zoning
$C1
Home Owners Association
No
Disclaimer
The information displayed on this page is confidential, proprietary, and copyrighted information of Heartland Multiple Listing Service, Inc. (“Heartland MLS”). Copyright 2025, Heartland Multiple Listing Service, Inc. Heartland MLS, Elite Realty and Agent Jo do not make any warranty or representation concerning the timeliness or accuracy of the information displayed herein. In consideration for the receipt of the information on this page, the recipient agrees to use the information solely for the private non-commercial purpose of identifying a property in which the recipient has a good faith interest in acquiring.
The data relating to real estate displayed on this website comes in part from the Heartland Multiple Listing Service database compilation. The properties displayed on this website may not be all of the properties in the Heartland MLS database compilation, or all of the properties listed with other brokers participating in the Heartland MLS IDX program. Detailed information about the properties displayed on this website includes the name of the listing company.
Information is deemed reliable but is not guaranteed.

Copyright © 2025 ELITE Realty.