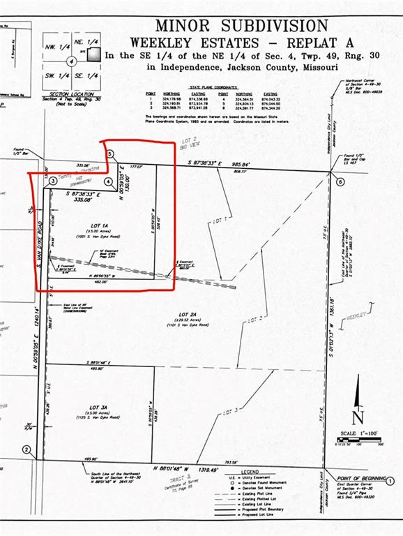
1001 S Van Dyke Road, Buckner, MO 64016

Mortgage Calculator

$160,000
 est. $685/mo

Rare opportunity to own 5 acres in the highly sought-after Fort Osage School District, offering the perfect balance of privacy, space, and convenience. Situated on a quiet country road, this property provides an excellent setting for your custom home with room for a shop, animals, or outdoor living. The land features a mix of open ground and partial tree coverage, allowing flexibility in your building plans while still offering natural privacy. A pond on the property adds to the peaceful setting and provides a great backdrop for enjoying the outdoors. Utilities are nearby, making future development more convenient. Acreage in this area is becoming increasingly hard to find, making this a fantastic opportunity to secure land and create the home and lifestyle you’ve been looking for. Property is identified as Lot 1A in Weekley Estates Minor Subdivision.

Directions
Take Exit 24 for MO-7 toward Blue Springs/Buckner. Go north on MO-7 approximately 6 miles. Turn right (east) onto Truman Road. Turn left (north) onto S Van Dyke Rd. Property is on the right.
Subdivision
Other
City
Buckner
County
Jackson
Property Type
Land / Unimproved Land
Listing Updated
Mar 07, 2026 at 8:03am
MLS Number
2603733
Property Tax
$1,007
Home Owners Association
No
Disclaimer
The information displayed on this page is confidential, proprietary, and copyrighted information of Heartland Multiple Listing Service, Inc. (“Heartland MLS”). Copyright 2026, Heartland Multiple Listing Service, Inc. Heartland MLS, Elite Realty and Agent Jo do not make any warranty or representation concerning the timeliness or accuracy of the information displayed herein. In consideration for the receipt of the information on this page, the recipient agrees to use the information solely for the private non-commercial purpose of identifying a property in which the recipient has a good faith interest in acquiring.
The data relating to real estate displayed on this website comes in part from the Heartland Multiple Listing Service database compilation. The properties displayed on this website may not be all of the properties in the Heartland MLS database compilation, or all of the properties listed with other brokers participating in the Heartland MLS IDX program. Detailed information about the properties displayed on this website includes the name of the listing company.
Information is deemed reliable but is not guaranteed.

Copyright © 2026 ELITE Realty.